Bão số 6 có thể giật tới cấp 15 di chuyển theo hướng Tây rồi Tây Tây Bắc, mỗi giờ đi được 10-15km và có khả năng mạnh thêm.
Bão số 6 có thể đổ bộ đất liền Quảng Ngãi-Khánh Hòa vào Chủ Nhật (ngày 10/11) với cường độ mạnh cấp 10-11, giật cấp 13, 14.
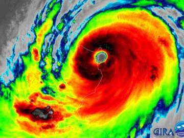
Đến 19h tối nay, vị trí tâm bão cách đảo Song Tử Tây khoảng 350km về phía Đông Bắc. Sức gió mạnh nhất vùng gần tâm bão mạnh cấp 9, giật cấp 11.
Chú rể Randy Manaois (29 tuổi) và cô dâu Jennifer (28 tuổi) chuẩn bị tiến hành các nghi thức cuối cùng của ngày vui lứa đôi thì bão Mangkhut đã tràn về và gây mất điện cho toàn hội trường.
Sáng nay (15/09), siêu bão Mangkhut đã đi vào Biển Đông và thành cơn bão số 6 năm 2018.
Sáng 25.8, do ảnh hưởng của hoàn lưu bão số 6 gây ra mưa lớn khiến nhiều đoạn đường trên quốc lộ 2C tại huyện Xuân Dương, tỉnh Tuyên Quang bị ngập lụt nghiêm trọng, làm ách tắc lưu thông...
Siêu bão Hato là cơn bão mạnh nhất trong vòng 5 năm trở lại đây đổ bộ vào Trung Quốc, gây ra những thiệt hại nặng nề.
Hoàn lưu bão số 6 sẽ gây mưa to cả ngày nay cho khu vực Bắc Bộ, vùng núi cần đề phòng lũ quét, sạt lở đất.
Hoàn lưu bão số 6 sẽ quét qua biên giới Việt - Trung gây mưa khắp miền Bắc từ đêm nay 23/8, một số khu vực nguy cơ ngập sâu.
Sáng nay (22/8) bão Hato đã vượt qua khu vực phía Bắc đảo Lu-dông (Philippines) đi vào biển Đông, thành cơn bão số 6.
Đây là cơn bão thứ 6 hình thành trên biển Đông từ đầu mùa mưa bão, trong đó hai cơn đã đổ bổ vào các tỉnh biển Trung là Talas và Sonca.
2 người mất tích là 1 ngư dân của Nghệ An và 1 người ở Lào Cai, hiện vẫn đang tiếp tục tìm kiếm.
Nạn nhân là 1 người ở huyện Bắc Hà không may bị sét đánh chết và 1 người bị lũ quét cuốn trôi khi tham gia cứu nạn hiện vẫn chưa tìm thấy thi thể.
Tính đến sáng nay (8/8/2013), bão số 6 đã làm 1 người thiệt mạng, 11 ngư dân bị sự cố ngoài biển do bão cũng đang được các lực lượng cứu nạn tìm kiếm.
Dù 22 giờ tối nay 7/8 mới đổ bộ vào đất liền song bão số 6 đã gây mưa to và rất to từ Thanh Hoá tới Thừa Thiên Huế, có nơi tới hơn 200 mm. Trung tâm Dự báo khí tượng thủy văn Trung ương cảnh...
Tối và đêm nay, bão số 6 sẽ đổ bộ đất liền các tỉnh Hải Phòng – Nam Định sau khi quét dọc bờ biển Trung bộ. Các tỉnh đang khẩn trương hoàn tất các công tác phòng chống bão.
Theo dự báo đến đêm nay 07/8 bão số 6 sẽ đổ bộ vào khu vực Hải Phòng – Nam Định.
Nếu sớm thì 8 –9h tối mai (7/8), muộn thì đêm mai bão số 6 sẽ đổ bộ vào đất liền, tâm bão dự báo đi qua Hải Phòng – Nam Định nhưng các tỉnh Quảng Ninh, Thanh Hóa vẫn phải đề phòng.
Dự báo khoảng đêm 7/8 vùng tâm bão có khả năng đi vào đất liền các tỉnh phía Đông Bắc Bộ.
Đây đều là những loại cá giàu dinh dưỡng, tốt cho sức khỏe và rất phù hợp trong mâm cơm gia đình Việt. Không chỉ dừng lại ở giá trị ẩm thực, nhiều loại cá còn mang ý nghĩa sung túc, may mắn...